[其他] 大丰两个地方拟征收土地公告

[复制链接]
查看: 71759|回复: 0

1412

主题

11

回帖

4829

积分

管理员

积分
4829
发表于 2023-7-6 16:41:45 | 显示全部楼层 |阅读模式
盐城市大丰区人民政府拟征收土地公告——大丰拟征告〔2023〕35号

根据《中华人民共和国土地管理法》《中华人民共和国土地管理法实施条例》《江苏省土地管理条例》有关规定,因公共利益需要,经盐城市大丰区人民政府决定,启动土地征收工作。现将有关情况公告如下:
一、征收目的
根据《中华人民共和国土地管理法》第四十五条的规定,本次征收土地目的为由政府组织实施的能源、交通、水利、通信、邮政等基础设施建设需要用地。
二、征收范围
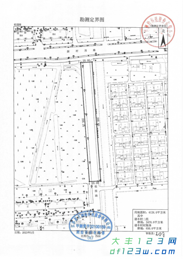
本次拟征收土地位于大中街道德丰村二组、村集体范围内。拟征收土地位置详见附图。
实际征收土地范围以最终批准文件为准。
三、公告期限
本拟征收土地公告期限为2023年6月30日至2023年7月13日。
四、工作安排
拟征收土地公告发布后,盐城市大丰区人民政府将组织开展拟征收土地现状调查和社会稳定风险评估。拟征收土地现状调查内容包括:拟征收土地的位置、权属、地类、面积以及农村村民住宅、其他地上附着物和青苗等的位置、权属、种类和数量等。请土地所有权人、使用权人予以配合,并在《拟征收土地现状调查表》上对调查结果予以签名或盖章。拟征收土地社会稳定风险评估工作中,将听取被征地的农村集体经济组织及其成员、村民委员会和其他利害关系人的意见。
五、其他事项
自本拟征收土地公告发布之日起,任何单位和个人不得在拟征收范围内抢栽抢建;违反规定抢栽抢建的,对抢栽抢建部分不予补偿。
特此公告。
附图: 微信图片_20230706164058.png

盐城市大丰区人民政府拟征收土地公告——大丰拟征告〔2023〕33号
根据《中华人民共和国土地管理法》《中华人民共和国土地管理法实施条例》《江苏省土地管理条例》有关规定,因公共利益需要,经盐城市大丰区人民政府决定,启动土地征收工作。现将有关情况公告如下:
一、征收目的
根据《中华人民共和国土地管理法》第四十五条的规定,本次征收土地目的为在土地利用总体规划确定的城镇建设用地范围内,经省级以上人民政府批准由县级以上地方人民政府组织实施的成片开发建设需要用地。
二、征收范围
本次拟征收土地位于大中街道泰丰村三组范围内。拟征收土地位置详见附图。
实际征收土地范围以最终批准文件为准。
三、公告期限
本拟征收土地公告期限为2023年6月30日至2023年7月13日。
四、工作安排
拟征收土地公告发布后,盐城市大丰区人民政府将组织开展拟征收土地现状调查和社会稳定风险评估。拟征收土地现状调查内容包括:拟征收土地的位置、权属、地类、面积以及农村村民住宅、其他地上附着物和青苗等的位置、权属、种类和数量等。请土地所有权人、使用权人予以配合,并在《拟征收土地现状调查表》上对调查结果予以签名或盖章。拟征收土地社会稳定风险评估工作中,将听取被征地的农村集体经济组织及其成员、村民委员会和其他利害关系人的意见。
五、其他事项
自本拟征收土地公告发布之日起,任何单位和个人不得在拟征收范围内抢栽抢建;违反规定抢栽抢建的,对抢栽抢建部分不予补偿。
特此公告。
附图:
微信图片_20230706164131.png

回复

使用道具 举报

您需要登录后才可以回帖 登录 | 立即注册

本版积分规则

返回顶部 关注微信 返回列表